
1、标图建库动态调整


广州市黄埔区2022年第六批“三旧”改造地块标图建库动态调整成果

广州市黄埔区2022年第七批“三旧”改造地块标图建库动态调整成果








2、基础数据公示

广州市增城区永宁街道长岗村旧村改造项目
项目区位:增城区永宁街长岗村
调查范围用地面积:2248413.3㎡(合约3372.62亩)
人口:总人口5747人(2134户),其中村户籍人口(含农转居人口)5707人(2096户)、非村民人口40人(38户)
现状建筑面积:改造范围内现状建筑面积总计1100267.9㎡,现状物业栋数共计2636栋。其中:村户籍人口及世居居民物业共2465栋,建筑面积941123.9㎡;其他非村民人口现状物业共22栋,建筑面积6113.1㎡;集体物业共138栋,建筑面积124036.4㎡;国有建筑共11栋,建筑面积28994.6㎡
树木:无古树名木,古树后续资源4株,大树380株,绿化树5255株
公建配套及市政设施:无
历史文物:无

3、片区策划方案

广州市白云区钟落潭镇五龙岗村旧村全面改造项目
项目区位:位于广州市白云区钟落潭镇北部,北*钟落潭综合市场、南*障梅路、东*五龙岗康杜路、西*天城庄路
用地范围:规划结合五龙岗行政管理边界及已办理集体土地所有权的用地范围,划定片区策划范围为437.09公顷。其中,五龙岗旧村全面改造项目用地面积82.82公顷,改造范围外符合“三旧"改造政策的12.84公顷用地纳入旧村全面改造项目统筹进行土地置换,其余用地结合土地收储计划、历史审批等因素划定为政府收储、现状保留等用地
历史文化保护:严格落实历史文化保护要求,充分利用现有历史文化资源,原址保护4处区登记保护文物单位、2处历史建筑、1处推荐保留建筑,基本保留历史环境要素。并结合中部3公顷公园建设,延续前塘后祠的风水格局及历史肌理
树木保护:2株古树及5株古树后续资源均予以原址保留,2处连片成林树木结合公园建设和学校布局,因地制宜保护,并综合考虑旧改项目布局和道路交通组织,应保尽保

广州市白云区鹤龙街道黄边村旧村全面改造项目
项目区位:位于广州市白云区鹤龙街道,北*华南快速干线,西*106国道,东*云城西路北延线,南*白云三线
用地范围:综合考虑改造主体权属范围,遵循成片连片、集约用地的要求,划定片区策划范围120.15公顷。现状建设用地以村民住宅和工业用地为主。黄边村改造范围用地面积39.11公顷
历史文化保护:规划严格落实历史文化保护要求,充分利用现有历史文化资源。原址保护2处区登记文物(康公古庙、观护龙公祠)和历史环境要索,规划为黄边文化公园,留住村民生活印记,延续村落历史文化
树木保护:改造范围内涉及7株古树后续资源,规划尽可能原址保留,如确需迁移的就近迁移*规划绿地。另有2处现有绿地和2处成片连林树木,规划为公园绿地或附属绿地,并综合考虑项目布局和道路交通组织,应保尽保

4、控制性详细规划调整

广州市黄埔区萝岗街道萝峰片区(黄埔区AG0117、AG0129、AG0130规划管理单元<原ag0119、ag0120、ag0123规划管理单元>)控制性详细规划调整(*期)
用地位置:本次规划范围位于位于黄埔区萝岗街,北邻广惠高速、西邻水西环路,南邻开创大道、东邻玉岩路。
用地功能和指标调整:本次规划范围用地面积53.15公顷,以居住用地、商业商务用地、商住混合用地、中小学用地、公园绿地、供电用地、医疗卫生用地、社会福利用地、体育用地、其他服务设施用地及城市道路用地为主,计容总建筑面积约152万 ㎡,其中居住建筑面积约64.1万 ㎡ ,规划总人口约2.0万人。
公共服务设施调整:本次规划范围公共服务配套设施共86处,建筑面积12.21万 ㎡ 。独立用地公服设施包括1所完全中学、3所幼儿园、2座变电站、1所老年福利院、1座社区卫生服务*等。改扩建萝峰小学*60班并与*期建设住宅同步建成。
历史文化资源及古树名木保护:原址保留8处文物:寅堂祖祠、德轩祖祠、行三祖祠、凌孟祖祠、东园家塾、青紫社学、宏远祖祠、爱松祖祠。原址保护古树名木及古树名木后续资源。

5、建设工程规划条件核实

广州市黄埔区萝岗街道火村三旧改造项目(四期融资区72班九年一贯制学校)
实施主体简介:该项目由广州宏祥房地产有限公司实施建设,经工商信息查询,该公司由广州御祥投资有限公司全资控股。


广州市黄埔区联合街道暹岗社区旧村改造项目(一期融资区住宅(自编号1#、2#、3#、4#、5#)、商业,公建(12#、13#))
实施主体简介:该项目由广州市暹岗大有投资有限公司实施建设,经工商信息查询,该公司由广州市黄埔区联合街暹岗社区经济联合社全资控股。


广州市黄埔区联合街道暹岗社区旧村改造(一期复建区商业、住宅(自编B1、B2),住宅、公建(自编B3、B4))
实施主体简介:该项目由广州市黄埔区联和街暹岗社区经济联合社实施建设。

6、建设工程规划公示

广州市黄埔区鱼珠街道茅岗路以西城中村改造项目(地块六AP0501014地块)
实施主体简介:该项目由广州市茅岗腾顺实业投资有限公司实施建设,经工商信息查询,该公司由广州市黄埔区鱼珠茅岗股份经济联合社全资控股。



广州市黄埔区云埔街道笔村旧村改造项目(融资区三期住宅(自编号F1-F3)、商业(自编号S1-S2))
实施主体简介:该项目由广州市中荔美投资有限公司实施建设,经工商信息查询,该公司由广州市黄埔区东区街笔岗社区经济联合社全资控股。



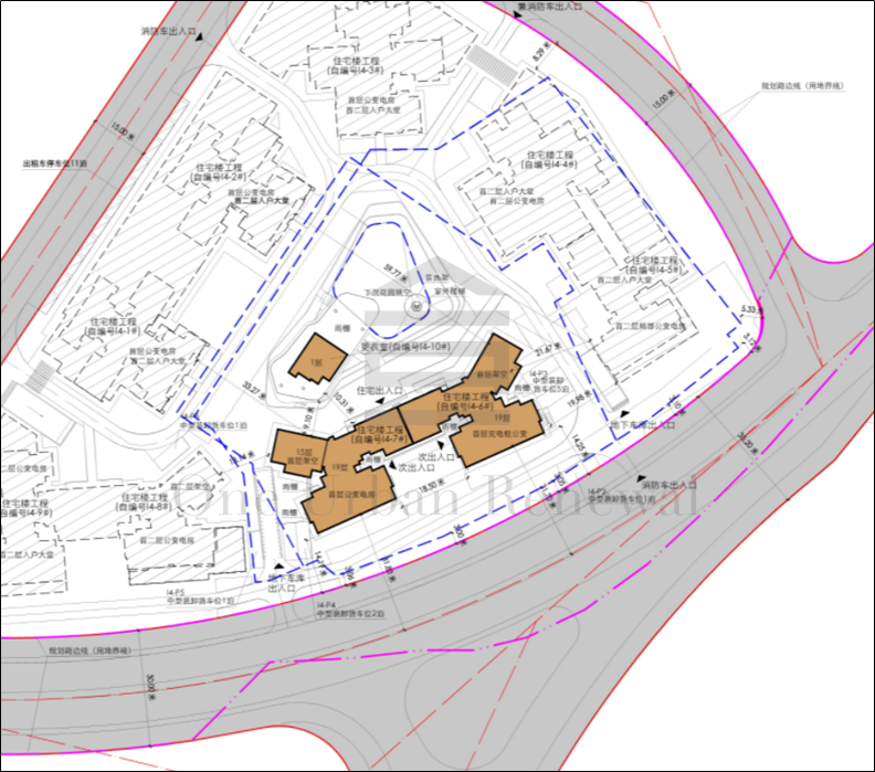
广州市天河区黄村街道小新塘城中村改造项目(融资区地块I4-6#、I4-7#及地下室、I4-10#)
实施主体简介:该项目由广州市新谭房地产开发有限公司实施建设,经工商信息查询显示,该公司为保利发展控股集团旗下子公司。
保利发展控股集团股份有限公司,成立于1992年。公司拥有不动产全业态的开发经验。公司履行央企社会责任,积极参与到城市改造、乡村振兴、保障房建设、租赁住房经营、基础设施投资、社会公益、精准扶贫等领域。参与的旧村改造项目有海珠区琶洲村、天河区冼村、小新塘、柯木塱、渔沙坦、黄埔区大塱村、增城区中新村等项目。



