截*2022年8月21日,已列入城市更新计划项目991个,拆除范围面积累计8360.8h㎡,已通过城市更新专规批复项目623个,计容建筑面积累18874.2万㎡,按数量规划通过率62.9%,按规模规划通过率57.5%,实施主体公示项目490个,拆除范围面积累计2943.5h㎡,按数量计划实施率49.5%,按规模计划实施率35.2%。
备注:1)以上数据仅针对拆除重建类城市更新项目进行统计,未含已立项的14个综合整治类城市更新项目,若统计在内,则已列入城市更新计划项目合计1005个;
2)实施主体公示项目实际已公示单个或多个分期均按1个项目进行统计。
看点
01
项目资讯
2022年第33周,深圳市共发布拆除重建类权利人核实公示5项,计划(草案)公示2项,规划(草案)公示2项,规划公告1项,规划(修改)公示1项,规划(修改)公告2项,实施主体公示1项,建设用地批复1项,施工许可1项,土地整备类2项,旧屋村公示1项,法定图则调整5项,集体资产交易2项。
1、拆除重建类城市更新一览表

1
龙岗区布吉街道布吉新城片区*城市更新单元权利人核实公示
拟拆除重建面积:1500000㎡
拟更新方向:R2、C1
前期服务商:深圳东部华侨城有限公司。华侨城集团公司是隶属于国务院国资委管理的大型*企业,公司成立于1985年,经过30年的建设与发展,目前集团总资产超过3199亿元,年销售收入近800亿元。

2
龙岗区宝龙街道龙新社区赤石岗片区城市更新单元权利人核实公示
拟拆除重建面积:85825.8㎡
容积率:7.9
拟更新方向:R2、R2+C1
申报主体:深圳市龙岗赤石岗股份合作公司。
项目合作方为深圳市培富房地产开发有限公司,该公司关联公司为金銮集团。深圳金銮集团有限公司是一家大型房地产公司,公司的发展宗旨是立足深圳,*从事旧村、旧城改造项目,公司兼营酒店和物业租赁,目前已成功经营多家酒店及多项物业出租。

3
坪山区坪山街道学湖浪城市更新单元权利人核实公示
拟拆除重建面积:64723.3㎡
拟更新方向:R2、C1
申报主体:深圳市坪山坪环股份合作公司。

4
坪山区龙田街道竹坑第二工业区及石湖、新开片区城市更新单元权利人核实公示
拟拆除重建面积:97300㎡
申报主体:深圳市坪山竹坑股份合作公司。

5
南山区沙河街道沙河五村城市更新单元权利人核实公示
拟拆除重建面积:459542.1㎡
容积率:11.0
拟更新方向:R2+C1、C1、C1+R2、R2
申报主体:深圳市白石洲实业股份合作公司。

6
龙华区观湖街道观城横坑河西片区城市更新单元计划(草案)公示
拟拆除重建面积:91152㎡
拟贡献率:R2、C1
申报主体:深圳市长安围股份合作公司。

7
龙华区龙华街道清湖西片区城市更新单元计划(草案)公示
拟拆除重建面积:60127㎡
拟贡献率:不少于51.8%
拟更新方向:C1、R2
申报主体:深圳市龙华清湖股份合作公司。

8
龙岗区横岗街道四联社区茂盛片区城市更新单元规划(草案)公示
拟拆除重建面积:267257.6㎡
容积率:7.0
拟贡献率:47.7%
拟更新方向:R2、R2+C1
申报主体:深圳市横岗四联股份合作公司。

9
龙岗区布吉街道大芬工业区南片区城市更新单元规划(草案)公示
拟拆除重建面积:100283.6㎡
容积率:9.8
拟贡献率:58.4%
拟更新方向:C1、R2
申报主体:深圳市大芬股份合作公司和布吉街道办。

10
龙华区观澜街道大布巷片区城市更新单元规划公告
拟拆除重建面积:219293.2㎡
容积率:6.8
拟贡献率:47%
拟更新方向:R2、C1+R2
申报主体:深圳金广房地产有限公司。经查询工商信息显示,该公司由深圳金光华实业集团有限公司和深圳市联鸿裕投资有限公司,分别持股60%、40%。
金光华实业集团成立于1995年,以房地产开发、大型商业经营为发展方向,经营范围涉及建材生产、能源开发、物业管理等诸多领域,先后开发过溪山美地、金光华广场、龙岸、金城华庭等;金光华目前还在拓展开发平湖凤凰工业园项目、松元厦向西村项目、大布巷片区更新项目、库坑片区城市更新单元等。

11
福田区园岭街道国际展览*城市更新单元规划(修改)公示
拟拆除重建面积:55645.7㎡
容积率:11.6
拟贡献率:47%
拟更新方向:C1
申报主体:深圳市晟润丰投资发展有限公司,经工商信息查询,深圳市晟润丰投资发展有限公司关联公司为岁宝集团,主营房地产开发。主要业态包含*商业、超*写字楼与奢华公寓,未来将打造成区域*级项目。同时开发的还有深圳市宝安区沙井五*酒店项目、沙井东方文化广场项目、汕尾市陆河田心坑岁宝酒店项目及农商行大厦项目。
岁宝百货控股(中国)有限公司是一家大型零售连锁百强企业,2010年成功在香港主板上市(股票代码:00312.HK)。

12
龙华区观澜街道黎光旧村城市更新单元规划(修改)公告
拟拆除重建面积:53101㎡
容积率:4.0
拟贡献率:25.5%
拟更新方向:R2
申报主体:深圳市龙华区观澜街道办事处。

13
罗湖区笋岗街道田心村改造城市更新单元规划(修改)公告
拟拆除重建面积:72453.2㎡
容积率:10.2
拟贡献率:27.7%
拟更新方向:R2+C1、C1、R2
实施主体:华润田心置地有限公司,经查询工商信息显示该公司实际控制人为华润置地控股有限公司。
截*目前,华润置地在深圳已建成运营、在建或待建项目十余个,包括华润置地全国*个城市综合体“深圳华润*”(2009年落成)、华润深圳湾一期——华润深圳湾体育*“春茧”(2011年落成)、华润1234space(2013年开业)、广东省*大城中村改造项目华润城、华润深圳湾二期、华润小径湾、华润银湖蓝山、华润前海*、华润湖贝*、华润笋岗项目、华润莲塘统筹项目、华润凤凰岗项目、南山区人民医院改扩建工程以及后海*区的城市规划运营等。

14
南山区桃源街道西丽同富裕工业城城市更新单元实施主体公示
拆除重建面积:65164.9㎡
容积率:7.6
贡献率:46.9%
更新方向:R2、C1
实施主体:深圳市桑泰联得投资有限公司,查询工商信息显示,该公司分别由深圳市桑泰房地产开发有限公司占股55%,深圳市沃泰华康发展有限公司占股45%。
桑泰集团创立于2000年,总部位于中国深圳,是一家立足深圳、扎根深圳、深耕深圳的房地产投资开发集团,是集房地产开发、物业管理、城市更新、实业经营、产业园经营等产业于一体的综合性民营企业集团。
深圳市沃泰华康发展有限公司为深圳市沃泰谷生态投资有限公司旗下的子公司,深圳市沃泰谷生态投资有限公司成立于2015年02月09日,经营范围包括一般经营项目是:投资兴办实业,投资生态产业;农业项目的技术开发;初级农产品、水产品的销售,国内贸易。许可经营项目是:初级农产品、水产品的加工等。

15
龙岗区园山街道荷坳片区城市更新单元(三期)建设用地批复
开发建设用地面积:29079.7㎡
更新方向:R2
实施主体:深圳市荷康城房地产开发有限公司为园山街道荷幼片区城市更新单元三期的实施主体,经查询工商信息显示该公司由文发投资(深圳)有限公司和深圳市颐安投资集团有限公司分别持股80%、20%。
文发投资(深圳)有限公司成立于2019年注册资本为3000万美元,所属行业为零售业,经营范围包含:一般经营项目是:投资咨询;自有房屋租赁;建材的销售;商业信息咨询。
颐安集团是一家综合性的大型投资集团,经过二十余年的精心经营和稳健发展,已成长为集地产开发、商业运营、产业投资、悦生活、资产管理五大产业集团。业务涵盖房地产开发、写字楼和商业运营、物业运营、长租公寓、酒店管理、股权投资、教育事业等领域。集团业务立足深圳,覆盖佛山、珠海、东莞、中山、惠州、广州等粤港澳大湾区*经济发达城市,未来将持续深耕粤港澳大湾区,*布局中国高速发展经济圈的*城市,正逐步成长为推动社会城市发展和具有全国化经营竞争力、影响力的一流综合性企业集团。目前在深圳项目有:THETOWN乐城二期、颐安·都会*、颐璟名庭、颐峰名庭等项目。

16
宝安区西乡街道蘅芳*工业区城市更新单元(01项目、02项目)施工许可
开发建设用地面积:19999.8㎡
更新方向:C1
实施主体:深圳市广兴源投资发展有限公司。
深圳市广兴源投资发展有限公司成立于2004年,是以房地产开发为主业,集房地产开发、产业运营、商业运营、物业服务、科技投资、大健康产业等为一体的多元化发展的集团企业。广兴源投资依托深圳,立足前海,布局大湾区,形成“科技+地产”、“生态+健康”的特有发展模式,产品类型覆盖住宅、城市综合体、产业基地等。

(01项目)

(02项目)
2、土地整备类项目一览表

1
龙岗区平湖街道金融基地辅城坳土地整备利益统筹项目规划公告
整备实施范围面积:965276.7㎡
容积率:5.7
更新方向:R2、R2+C1、M1、M0

2
龙岗区宝龙街道上井地块土地整备利益统筹项目房屋权属核查结果公示
整备实施范围面积:351400㎡

3、旧屋村范围公示一览表

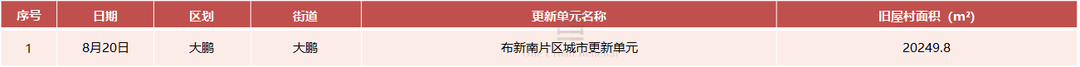
1
大鹏新区大鹏街道办事处布新南片区城市更新单元旧屋村范围公示
旧屋村面积:20249.8㎡

4、法定图则调整一览表

1
龙岗区龙岗街道[南联地区] 02-06地块法定图则调整
一、规划调整情况
02-06地块为一类工业用地,用地面积为9909㎡,配套设施无,备注为“现状保留”。拟将原02-06地块分为02-06-01及02-06-02地块,其中02-06-01地块用地性质为普通工业用地,用地面积8617㎡,容积率为4.34,无配套设施,备注为“规划”;02-06-02地块用地性质为普通工业用地,用地面积1292㎡,备注为“现状保留”。

2
福田区莲花街道[景田地区] 03-09地块法定图则调整
一、规划调整情况
03-09地块用地性质为二类居住用地(R2),容积率为5.0,配套设施项目名称为“幼儿园(含托儿所,建筑面积不低于1189㎡)、社区老年人日间照料*(建筑面积不低于1000㎡)、社区体育活动场地(场地面积不低于600㎡)”,备注为“规划,全部用于公共住房建设”。

3
宝安区福海街道[立新水库北地区] 03-06、03-07、04-10、04-12、12-01-01、13-01、13-02地块法定图则调整


4
宝安区松岗街道[沙井新桥地区] 02-17等34个地块法定图则调整


5
坪山区坑梓街道[金沙地区] 01-09、01-10地块法定图则调整
一、规划调整情况
根据[金沙地区]法定图则,01-09地块规划用地面积为154265㎡,规划用地性质为一类工业用地(M1),容积率为2.0-2.2;01-10地块规划用地面积为625㎡,规划用地性质为垃圾处理用地(U52),配套垃圾转运站、公共厕所、再生资源回收点、环卫工人休息站,以上备注均为规划。调整后,01-10地块(垃圾转运站原规划用地)往南调整*金联路与聚青路道路交叉口附近,用地性质由“U52垃圾处理用地”调整为“U5环境卫生设施用地”,用地面积及其他用地指标维持不变;01-09地块的用地形状相应调整,用地性质、用地面积及其余指标维持不变。

5、集体资产交易一览表

1
深圳市龙华区观澜街道牛湖老村片区城市更新项目涉及深圳市牛湖康盛达股份合作公司集体用地合作招商交易结果
成交人简介:
成交人为深圳市中森置业投资有限公司,经查询工商信息显示,该公司由瑞思集团有限公司持股55%、中森投资发展有限公司持股45%。
瑞思集团有限公司2000年创立于深圳,业务覆盖地产开发、城市更新、股权投资、资产运营、物业管理五大板块,拥有瑞思投资、瑞思控股、京广开发、邦宏行地产、瑞思行物业等多个子公司及子品牌,瑞思集团自2010年开启城市更新业务,旗下城市更新项目有牛湖城市更新项目、新田城市更新项目、平湖城市更新项目、南油福华厂区城市更新项目。
中森集团创建于2002年,历经近二十年的健康发展,集团成长为以地产开发业务为*,股权投资、金融投资等业务多元化经营的跨区域综合性集团公司。集团致力于打造国际化一流投资平台,*创新型地产开发模式。

2
深圳市龙华区观湖街道宝益成工业区城市更新项目合作招商合作方征集公告

