
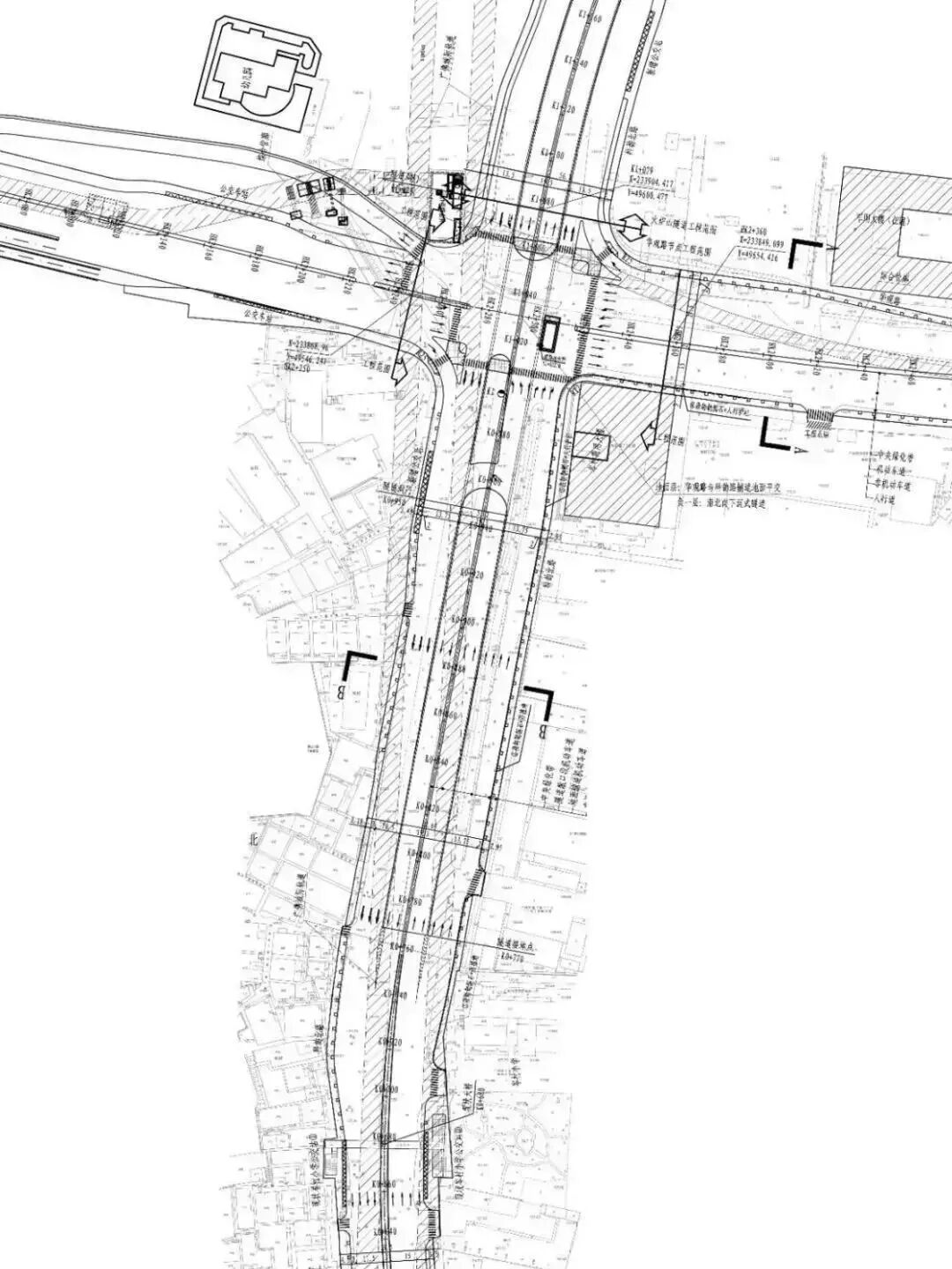
华观路—科韵路交通节点工程项目拟新增科韵路南北向下沉式隧道,并升级改造交叉范围内的道路。隧道全长309米,隧道主线双向4车道,设计速度60千米/*,东侧辅道为4车道,西侧辅道为3车道,设计速度40千米/*。
主要建设内容包括:道路、隧道、排水、交通、绿化、照明等工程。





华观路—科韵路交通节点工程项目拟新增科韵路南北向下沉式隧道,并升级改造交叉范围内的道路。隧道全长309米,隧道主线双向4车道,设计速度60千米/*,东侧辅道为4车道,西侧辅道为3车道,设计速度40千米/*。
主要建设内容包括:道路、隧道、排水、交通、绿化、照明等工程。



对买房有疑问?直接找房产咨询师,量身定制你的个人买房解决方案!
服务热线
400-832-7668
(周一至周日全天)
亮点好房
微信公众号:广州房产之家
Copyright © 2010-2021 亮点好房 All rights reserved.